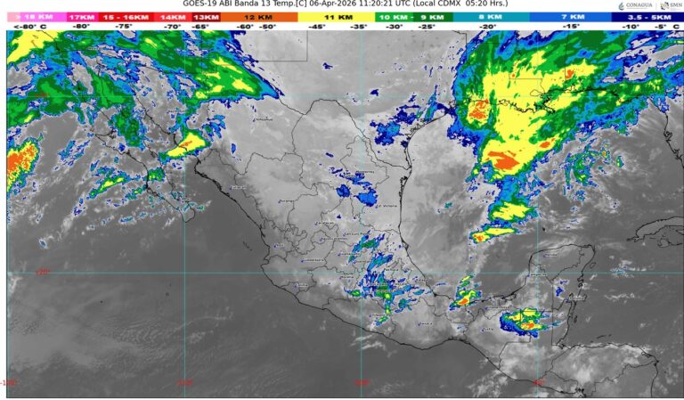
#NACIONAL🇲🇽 II Buenos días ☀️ll El Servicio Meteorológico Nacional pronostica que el frente frío número 43 se extenderá sobre...
Mes: abril 2026
🔸 Ahmed Husam viajó seis días y gastó miles de dólares para ver a la selección de...
🔸 La implementación de tecnología biométrica y múltiples anillos de seguridad permitirá un acceso más ágil en...
🔸 La actriz aclaró que Miranda Priestly no se inspiró en Anna Wintour, sino en dos figuras...
🔸 La agencia espacial continúa mostrando el trayecto de la misión Artemis II rumbo a la Luna....
🔸 El mediocampista rescindió su contrato con São Paulo para poder dejar las canchas. #DEPORTES | El...
🔸 Sin un proyecto confirmado aún, el creador de contenido ya toma clases de actuación y explora...
🔸 El equipo de Mikel Arteta quedó eliminado tanto de la Copa inglesa como en la Carabao...
🔸 El Pentágono revela detalles de la operación “Furia Épica” tras confirmar que cuatro de los militares...
🔸 Santos Laguna busca salir del fondo de la tabla al enfrentar a unas Águilas que pelean...